Foothills Veterinary Hospital
Penn Hip
Our veterinarians are trained in the use of the PennHIP method for canine hip screening. PennHIP can provide early detection of the risk of painful osteoarthritis (OA) of canine hip dysplasia (CHD) to allow for preventive and palliative strategies to be recommended as soon as possible.

What is PennHIP?
PennHIP is short for the Penn Hip Improvement Program. It is a new method for assessing, measuring, and interpreting the hip joint status of dogs. The primary goal of PennHIP is to reduce the frequency and severity of hip dysplasia in all breeds of dogs. Certified PennHIP-trained veterinarians utilize the PennHIP stress-radiographic technique (x-ray) to predict the onset of osteoarthritis (OA) of canine hip dysplasia (CHD).
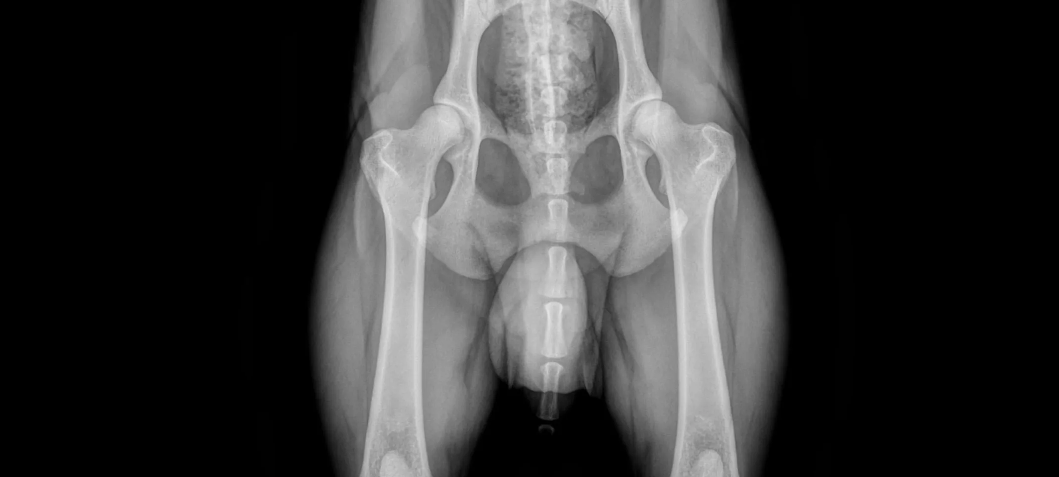
The PennHIP method consists of three separate radiographs: the distraction view, the compression view, and the hip-extended view. The distraction view and the compression view provide precise measurements of hip joint laxity and congruity, respectively, while the hip-extended view gathers supplementary information about the existence of OA in the hip joint.
Why use PennHIP?
PennHIP has become one of the most reliable diagnostic methods for the accurate prediction of the onset of osteoarthritis (OA) of canine hip dysplasia (CHD). Traditional diagnostic methods have been able to predict OA in dogs at around two years of age, but PennHIP can be successfully performed on dogs as young as sixteen weeks.
PennHIP is only performed by certified PennHIP-trained veterinarians who have demonstrated expertise in the use of the technique. The use of PennHIP allows pet owners to get an estimate of their dog’s risk for developing OA and work with their veterinarian to make lifestyle adjustments that can enhance the quality of their pet’s life.
Who Can Benefit from PennHIP?
All dogs can benefit from the use of the PennHIP method. Early detection of hip OA can help to prevent or lessen the severity of CHD in dogs found to be at high risk for developing the disease. PennHIP is also useful for service dogs and breeding dogs. Understanding the hip health of service and breeding dogs can help owners and breeders to make informed decisions regarding the length of service a dog can safely provide. The results provided by the PennHIP method can also help breeders assess the progress they are making with their breeding program.
Learn more about PennHIP here.
